















Tragedia nelle Filippine
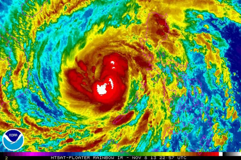
Sono oltre 900.000 le famiglie filippine colpite dal supertifone Haiyan (localmente si chiama Yolanda), ovvero oltre 4 milioni di persone
Sono oltre 900.000 le famiglie filippine colpite dal supertifone Haiyan (localmente si chiama Yolanda), ovvero oltre 4 milioni di persone